Y tế - Dược
Thời sự - Xã hội
Sức khỏe
Thị Trường
Bảo vệ người dùng
Quốc tế
Chuyện tử tế
Tin mới
Ảnh - Video - Emagazine
Y tế - Dược
Thời sự - Xã hội
Sức khỏe
Thị Trường
Bảo vệ người dùng
Quốc tế
Chuyện tử tế
Tin mới
Ảnh - Video - Emagazine
Bão Kajiki
Cập nhập tin tức Bão Kajiki
Cuộc phẫu thuật sinh tử giữa tâm bão Kajiki
Đêm 25/8, khi bão Kajiki tràn qua Nghệ An với cuồng phong dữ dội, nhiều tuyến phố tê liệt, cây cối gãy đổ, điện chập chờn từng hồi… thì bên trong Bệnh viện Hữu nghị Đa khoa Nghệ An, những “chiến sĩ áo trắng” vẫn bền bỉ, dốc sức giành lại sự sống mong manh cho một bệnh nhân nguy kịch.
Tin mới
Thiệt hại ban đầu do bão số 5 (tính đến 7h ngày 26/8/2025)
Theo báo cáo ban đầu của các địa phương, tính đến 7h ngày 26/8/205, bão số 5 làm 3 người chết (Nghệ An 1, Hà Tĩnh 1, Ninh Bình 1), 3 người bị thương (Phú Thọ 1, Nghệ An 2, Hà Tĩnh 5, Quảng Trị 5), 8 nhà sập đổ (Hà Tĩnh 7, Quảng Trị 1); 6.808 nhà tốc mái, hư hại…
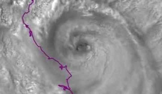
LIVE: Bão Kajiki mạnh cấp 14, giật cấp 16 đang tiến vào Nghệ An, Hà Tĩnh
Tính đến 10h ngày 25/8, bão Kajiki (cơn bão số 5) mạnh cấp 13-14, khoảng 134-166km/h, giật cấp 16 đang tiến vào nước ta.
Đọc nhiều
POWERED BY
ONE
CMS
- A PRODUCT OF
NEKO