Y tế - Dược
Thời sự - Xã hội
Sức khỏe
Thị Trường
Bảo vệ người dùng
Quốc tế
Chuyện tử tế
Tin mới
Ảnh - Video - Emagazine
Y tế - Dược
Thời sự - Xã hội
Sức khỏe
Thị Trường
Bảo vệ người dùng
Quốc tế
Chuyện tử tế
Tin mới
Ảnh - Video - Emagazine
bao sinlaku
Cập nhập tin tức bao sinlaku
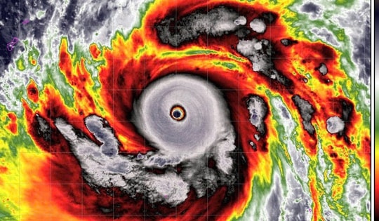
Siêu bão Sinlaku tàn phá 2 hòn đảo của Mỹ ở Thái Bình Dương
Từ đêm 14/4 đến rạng sáng 15/4, siêu bão Sinlaku liên tục hoành hành trên quần đảo Bắc Mariana của Mỹ ở phía Tây Thái Bình Dương, tàn phá nhiều căn nhà và buộc người dân tại 2 đảo lớn trên quần đảo này phải tìm nơi trú ẩn.
Thời sự - Xã hội
Siêu bão Sinlaku mạnh nhất hành tinh có ảnh hưởng đến Việt Nam?
Sinlaku là cơn bão "đặc biệt nguy hiểm" do sự kết hợp của nhiều yếu tố bao gồm cường độ tăng tốc bất thường, quy mô ảnh hưởng rộng và những rủi ro thiên tai đi kèm vượt xa sức gió đơn thuần.
Sinlaku là một trong 3 cơn bão mạnh nhất kể từ năm 1977
Các điều kiện môi trường trên vùng biển thuận lợi (nhiệt độ mặt nước biển cao, thông lượng nhiệt từ đại dương dồi dào, độ đứt gió tầng cao yếu) tạo điều kiện để bão tiếp tục mạnh lên nhanh trong 24 giờ tới.
Bão Sinlaku mạnh lên cấp 15 nhưng ít có khả năng vào Biển Đông
Đọc nhiều
POWERED BY
ONE
CMS
- A PRODUCT OF
NEKO