Sinlaku là một trong 3 cơn bão mạnh nhất kể từ năm 1977

Tô Hội 13/04/2026 06:42

Các điều kiện môi trường trên vùng biển thuận lợi (nhiệt độ mặt nước biển cao, thông lượng nhiệt từ đại dương dồi dào, độ đứt gió tầng cao yếu) tạo điều kiện để bão tiếp tục mạnh lên nhanh trong 24 giờ tới.

Theo Trung tâm Dự báo Khí tượng Thủy văn Quốc gia, Sinlaku đạt cấp siêu bão – một trong 3 cơn bão mạnh nhất trong tháng 4 kể từ năm 1977

Tối  ngày (12/4), sức gió vùng tâm siêu bão Sinlaku đã tăng lên 105 kts, tương đương cấp 16, giật trên cấp 17. Đây là cơn bão đầu tiên trong năm 2026 đạt cường độ này, đồng thời là lần đầu xuất hiện trong tháng 4 kể từ bão Surigae (2021), và chỉ là lần thứ ba kể từ năm 1977.

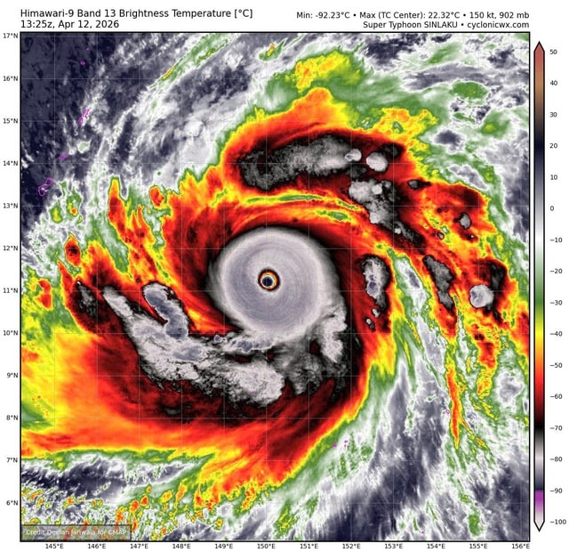
Hiện Sinlaku cũng là cơn bão mạnh nhất thế giới trong năm 2026, với áp suất trung tâm 920 hPa (tính đến thời điểm hiện tại), vượt qua bão Maila ở khu vực Úc (924 hPa).

Sinlaku là một trong 3 cơn bão mạnh nhất kể từ năm 1977- Ảnh 1.
Mắt bão Sinlaku - cơn bão mạnh nhất thế giới năm 2026 tính đến hiện tại.

Theo ông Mai Văn Khiêm - Giám đốc Trung tâm Dự báo Khí tượng Thủy văn Quốc gia, phân tích từ số liệu vệ tinh, hiện tại bão Sinlaku đang trong quá trình tăng cường độ nhanh, mắt bão rõ nét, vùng mây đối lưu phát triển mạnh và hoàn lưu đối xứng.

"Các điều kiện môi trường trên vùng biển thuận lợi (nhiệt độ mặt nước biển cao, thông lượng nhiệt từ đại dương dồi dào, độ đứt gió tầng cao yếu) tạo điều kiện để bão tiếp tục mạnh lên nhanh trong 24 giờ tới" - ông Khiêm cho hay.

Cơ quan khí tượng dự báo trong 24 giờ tới bão Sinlaku sẽ di chuyển theo hướng Tây Bắc với tốc độ khoảng 15km/h và có khả năng sẽ mạnh lên thành siêu bão.

"Đây sẽ là siêu bão đầu tiên hoạt động trên khu vực Tây Bắc Thái Bình Dương trong mùa bão năm nay và là một trong số rất ít cơn siêu bão xuất hiện ngay trong tháng 4" - ông Khiêm nói.

Cường độ của siêu bão Sinlaku mạnh nhất vào khoảng cấp 16 - 17, giật trên cấp 17. Sau khi mạnh lên thành siêu bão, siêu bão Sinlaku sẽ đổi hướng di chuyển lên phía bắc, sau đó nhiều khả năng sẽ tiếp tục đổi hướng một lần nữa thành hướng bắc đông bắc vào khoảng ngày 16 - 17/4 và di chuyển tới vùng biển phía đông của Nhật Bản và cường độ sẽ giảm cấp dần.

Hiện tại các dự báo bão đều cho thấy bão sẽ không có khả năng đi vào khu vực Biển Đông. Trung tâm Dự báo Khí tượng Thủy văn Quốc gia vẫn đang theo dõi sát diễn biến của siêu bão đầu mùa này.

Về xu thế mùa bão 2026, bản tin thời hạn mùa từ Trung tâm Dự báo Khí tượng Thủy văn Quốc gia cho biết, từ tháng 4 đến tháng 6 năm 2026, bão/áp thấp nhiệt đới hoạt động trên khu vực Biển Đông và ảnh hưởng trực tiếp đến đất liền tương đương với mức trung bình nhiều năm. Thông thường mùa bão tại Việt Nam bắt đầu vào khoảng tháng 6.

Theo số liệu trung bình nhiều năm trên Biển Đông trong giai đoạn tháng 4 đến tháng 6 có khoảng 1,8 cơn bão/áp thấp nhiệt đới, đổ bộ vào đất liền 0,3 cơn.

Từ tháng 7 đến tháng 9 năm 2026, hoạt động của xoáy thuận nhiệt đới gia tăng. Dự báo số lượng bão/áp thấp nhiệt đới trên Biển Đông và đổ bộ vào đất liền nước ta ở mức tương đương so với trung bình nhiều năm. Theo số liệu trung bình nhiều năm từ tháng 7 đến tháng 9 trên Biển Đông có khoảng 6,5 cơn bão/áp thấp nhiệt đới, đổ bộ vào đất liền khoảng 2,9 cơn.

Ông Mai Văn Khiêm phân tích, dự báo trong năm 2026, hệ thống khí quyển - đại dương sẽ trải qua nhiều trạng thái chuyển pha.

"Với tính chất chuyển pha liên tục của hiện tượng ENSO quy mô lớn như vậy, điều kiện khí quyển - đại dương sẽ ở trạng thái bất ổn định. Đây có thể là nguyên nhân dẫn đến các hiện tượng thời tiết, khí hậu cực đoan như bão mạnh, mưa cường suất lớn... xuất hiện trong năm 2026" - ông Khiêm phân tích.


Theo suckhoedoisong.vn
https://suckhoedoisong.vn/sinlaku-la-mot-trong-3-con-bao-manh-nhat-ke-tu-nam-1977-16926041306012111.htm
Copy Link
https://suckhoedoisong.vn/sinlaku-la-mot-trong-3-con-bao-manh-nhat-ke-tu-nam-1977-16926041306012111.htm
    Nổi bật
        Mới nhất
        Sinlaku là một trong 3 cơn bão mạnh nhất kể từ năm 1977
        • Mặc định
        POWERED BY ONECMS - A PRODUCT OF NEKO